Amarillo Safe Streets and Roads for All (SS4A) Plan

  • 2025 APA TX Planning Achievement Award - Gold in Transportation Planning

  • 2025 TexITE Transportation Achievement Award - Safety & Planning Category

  • 2025 TAMI Award - Underserved Audiences Outreach/Campaign

  • Three successful funding pursuit - one SS4A Demonstration Grant award and two MPO Category 7 awards

In 2024, the City of Amarillo recognized a critical need to improve transportation safety across its roadway network. Amarillo had experienced a concerning number of fatal and severe injury crashes, especially affecting vulnerable users like pedestrians and bicyclists. The city lacked a unified strategy to address these issues or secure funding for long-term improvements.

The City aimed to develop its first Safe Streets and Roads for All (SS4A) Plan to guide local efforts in reducing fatal and serious injury crashes by 35% by 2035. The task involved identifying high-risk locations, analyzing crash data, prioritizing safety needs, and preparing a data-driven, community-supported action plan that could also be used to pursue federal implementation funding.

The project team led a year-long planning process grounded in crash analysis, public input, and interdepartmental collaboration. This process included:

  • Developing a High Injury Network (HIN) to identify streets with disproportionately high crash rates

  • At the end of the project, a total of 6,900 public comments were collected through 35 in-person events, two online surveys, and strategic outreach

  • Coordinating with multiple City departments, Amarillo MPO, TxDOT, ISDs, and community stakeholders

  • Aligning plan goals with Amarillo’s City Plan Vision 2045 and identifying gaps in existing design standards and policies

  • Recommending 16 location-specific safety improvement projects and building a project funding matrix to support implementation

The Amarillo SS4A Plan was completed and adopted in April 2025. It positioned the City for competitive federal funding and immediately led to multiple award recognitions, including:

  • American Planning Association Texas Chapter (APA TX) Planning Achievement Award - Gold in Transportation Planning

  • Texas District of the Institute of Transportation Engineers (TexITE) Transportation Achievement Award - Safety & Planning Category

  • Texas Association of Municipal Information (TAMI) Award - Underserved Audiences Outreach/Campaign

The Plan has already supported three successful grant pursuits, including a SS4A Demonstration Project award and two Category 7 awards, and continues to serve as Amarillo’s blueprint for creating safer, more equitable, and accessible streets for all users.

 
 
 
 
 
 
 

Public Engagement - Survey Comments | Source: TGC

 
Eagle, you’ve been an amazing project manager. We are so grateful for all you’ve done to support our SS4A plan and now its implementation.
— Emily Koller, AICP, Former Director of Planning, City of Amarillo

Data Analysis - High Injury Network Map | Source: TGC

 

Targeted Safety Improvement Projects - Project Proposal Guiding Principles | Source: TGC

Targeted Safety Improvement Projects - Project Design Focus | Source: TGC

 
The Amarillo SS4A Plan positioned the City for competitive federal funding and immediately led to multiple award recognitions.
— Eagle Tang, PE, AICP, Project Manager, TGC

Example Cross Section on Fairway Drive | Source: TGC

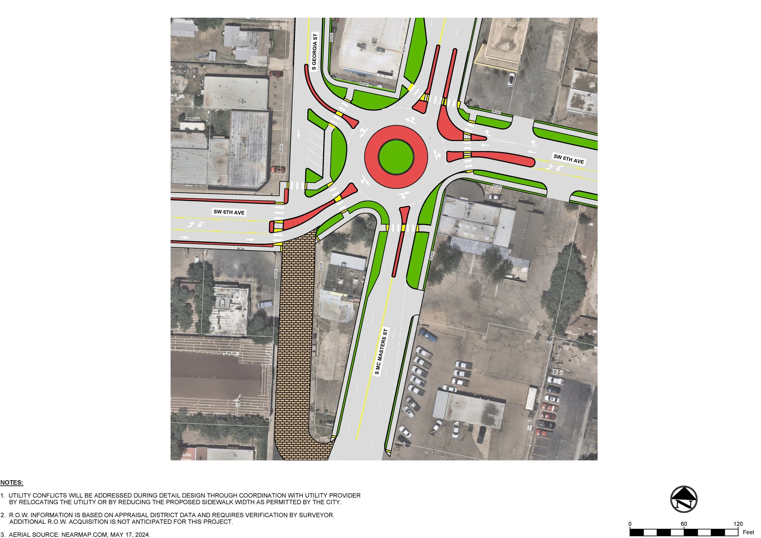
Example Layout of Proposed Roundabout | Source: TGC

 

Sectors: Transportation Design & Engineering; Transportation Safety Analysis; Mobility & Transportation Planning; Intergovernmental Relations & Funding Pursuit

Services: Project Management & Coordination; Stakeholder & Public Engagement; Data Analysis of Baseline Conditions & Trends; Policy & Process Changes; Strategy & Project Selections


Explore More Projects


For additional information or questions, contact TGC to learn more about our services, our team, and our mission to connect capital to communities across Texas and beyond.